Bán đất tái định cư vai réo phú cát đường 3 ôtô vỉa hè rộng ngõ thông kd nhỉnh
Ngày đăng: 1/15/2025 7:13:48 PM - Đất bán, cho thuê - Hà Nội - 79Chi tiết [Mã tin: 5792347] - Cập nhật: 26 phút trước
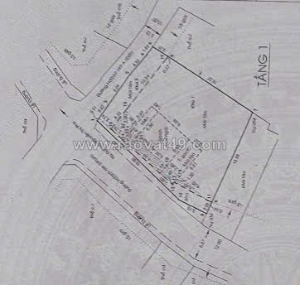
Khu đất nằm trong vùng lõi phát triển của khu Đô Thị Vệ Tinh Hòa Lạc.
Dt: 85m2, giá 3.9 tỷ
Di chuyển vào khu ĐH Quốc Gia, Khu CNC 1 , Quốc Lộ 21A cũng chỉ chưa đến 5p đi xe.
Đường trước đất 3 ô tô tránh, vỉa hè rộng, ngõ thông tứ phía.
Sát cạnh là khu CNC 2 rộng gần 300Ha với các nhà máy tập đoàn lớn của Quốc Gia như : Nhà Máy in tiền quốc gia, Nhà Máy polymer, Phích nước rạng đông, Tập đoàn penkika ( Khai thác chế tác đá), Vina- Sanwa… Đều đã hoạt động và có tới vài vài chục nghìn công nhân đang hoạt động. Và gần với quỹ đất của tổ hợp y tế (5 tuyến BV Trung ương)
Hàng xóm là Đô Thị Phú Cát CiTy khoảng 350 căn biệt thự.
Đường trục chính kết nối giao thông thuận tiện xuống trung tâm thị trấn Quốc Oai hay ĐL Thăng Long nối với Hà Nội
Bao quanh khu TDC Vai Réo là cái tuyến đường Vành Đai rộng từ 24m - 50m chạy xung quanh.
Đường vành đai chạy qua sát cạnh nối thẳng ra ĐL Thăng Long.
Khu TĐC Vai Réo là khu có lòng đường to và rộng nhất so với tất cả các khu TDC ở trên Hoà Lạc.
Dân cư sống hiện hữu, gần trung tâm hành chính xã, gần trường học các cấp, giao thông đi lại vô cùng tiện lợi.
Anh chị quan tâm mua xây ở mua đầu tư liên hệ ngay Ms Hạnh đất đẹp Hòa Lạc để đi xem thực tế khu đất.
Tin liên quan cùng chuyên mục Đất bán, cho thuê
2Hàng hiếm giảm giá sốc nhà 1/ dương thị mười, trung mỹ tây, q12 – chỉ 6 tỷ
Cập nhật: vài giây trước
2Bán nhà lý thường kiệt, 45m2, 5 tầng, mặt tiền 5.2m, 30.5 tỷ, ngõ rộng thoáng,
Cập nhật: 3 phút trước
2Bán nhà phố hàng mành, 60m2, 3 tầng, mặt tiền 4m, nhỉnh 43 tỷ, kinh doanh đỉnh
Cập nhật: 5 phút trước
2Bán nhà mặt phố phố huế, 85m2, 3 tầng, mặt tiền 3.4m, nhỉnh 49.6 tỷ, vỉa hè
Cập nhật: 5 phút trước
2Bán nhà phố nguyễn đình chiểu, 90m2, 4 tầng, mặt tiền 9.6m, 25.3 tỷ, ngõ rộng
Cập nhật: 6 phút trước
2Bán nhà đường thành, 35m2, 4 tầng, mặt tiền 3.2m, 21.5 tỷ, ngõ rộng thoáng,
Cập nhật: 7 phút trước
2Bán tòa văn phòng mặt phố kim đồng, 113m2, 6 tầng thang máy, mặt tiền 4.2m,
Cập nhật: 8 phút trước
2Bán nhà mặt phố phố huế, 25m2, 3 tầng, mặt tiền 3.2m, nhỉnh 15 tỷ, vỉa hè rộng,
Cập nhật: 8 phút trước
2Bán nhà lê thánh tông, 35m2, 4 tầng, mặt tiền 3.3m, nhỉnh 14 tỷ, ngõ rộng
Cập nhật: 10 phút trước
1Bán nhà mặt phố hàng bè, 80m2, 4 tầng, mặt tiền gần 4m, 70.8 tỷ, vỉa hè rộng,
Cập nhật: 10 phút trước
2Bán nhà trần hưng đạo, 100m2, 8 tầng thang máy, mặt tiền 4.3m, 62.5 tỷ, nhà xịn
Cập nhật: 12 phút trước
1Bán nhà mặt phố bà triệu, 80m2, 6 tầng, mặt tiền 4.5m, 61.8 tỷ, vỉa hè rộng,
Cập nhật: 13 phút trước
2Siêu hot – bán nhà & xưởng (371m²) góc ngã tư đường nhựa đông thạnh, hóc môn
Cập nhật: 14 phút trước
2Bán tòa văn phòng mặt phố khu vực trường chinh, 100m2, 8 tầng 1 hầm thang máy
Cập nhật: 14 phút trước
2Bán nhà thọ lão, 45m2, 4 tầng, mặt tiền gần 4m, 12.6 tỷ, ngõ rộng thoáng, kinh
Cập nhật: 14 phút trước
2Bán khách sạn mặt phố khu vực hàng bông, 115m2, 8 tầng thang máy, mặt tiền 4m,
Cập nhật: 15 phút trước
2Bán nhà mặt phố hàng bè, 140m2, 5 tầng, mặt tiền 3.5m, 82.5 tỷ, vỉa hè, kinh
Cập nhật: 15 phút trước
1Chính chủ cần nhượng lại lô góc đất nghỉ dưỡng hà nội cạnh phân khu hòa lạc 3
Cập nhật: 16 phút trước- 0
Chính chủ cần bán nhà quận nam từ liêm phố đình thôn 47 m2 x6 t 6.75 tỷ ô tô kd
Cập nhật: 16 phút trước - 0
Cần bán nhàchính chủ quận nam từ liêm phố mỹ đình 52 m2 x 5 t 6.8 tỷ ô tô kd
Cập nhật: 17 phút trước
2Bán nhà mặt phố phố huế, 105m2, 6 tầng thang máy, mặt tiền 4.5m, 83 tỷ, vỉa hè,
Cập nhật: 18 phút trước- 0
Chính chủ cần bán mảnh đất quận tây hồ 265 m2 mt 35 m 47 tỷ
Cập nhật: 18 phút trước
2Bán nhà mặt phố hàng bạc, 80m2, 4 tầng, mặt tiền gần 4m, 70.8 tỷ, vỉa hè rộng,
Cập nhật: 18 phút trước
1Bán nhà mặt phố mai hắc đế, 56m2, 3 tầng, nhỉnh 37 tỷ, vỉa hè, ô tô tránh, kinh
Cập nhật: 18 phút trước
2Bán nhà lò đúc, 45m2, 4 tầng, mặt tiền gần 4m, 12.6 tỷ, ngõ rộng thoáng, kinh
Cập nhật: 19 phút trước
1Bán tòa văn phòng mặt phố bạch mai, 215m2, 8 tầng 1 hầm thang máy, mặt tiền
Cập nhật: 19 phút trước
2Bán khách sạn mặt phố gia ngư, 120m2, 7 tầng thang máy, tổng 16 phòng, 89.5 tỷ
Cập nhật: 19 phút trước
1Bán nhà lò đúc, 70m2, 5 tầng, mặt tiền gần 4m, 26.5 tỷ, vỉa hè, ô tô tránh,
Cập nhật: 19 phút trước
1Bán nhà nguyễn công trứ, 70m2, 5 tầng, mặt tiền gần 4m, 26.5 tỷ, vỉa hè, ô tô
Cập nhật: 20 phút trước- 0
Cực hiếm chính chủ cần bán nhà phố trần quốc toản quận hoàn kiếm 87m2 x4 t
Cập nhật: 20 phút trước - 0
Chính chủ cần bán gấp mảnh đất lê quang đạo quận nam từ liêm 112 m2 m t rộng
Cập nhật: 21 phút trước
2Bán nhà phố ấu triệu, 20m2, 5 tầng, mặt tiền gần 4m, 12.5 tỷ, phù hợp làm
Cập nhật: 21 phút trước
1Bán nhà mặt phố nhà thờ, 80m2, 72.5 tỷ, kinh doanh siêu đỉnh, phù hợp xây khách
Cập nhật: 22 phút trước
1Bán tòa văn phòng mặt phố minh khai, 215m2, 8 tầng 1 hầm thang máy, mặt tiền
Cập nhật: 22 phút trước- 0
Bán 42.3m2 đất tư đình - ngõ ô tô vào đất, thông, cách đường lớn 10m - giá hấp
Cập nhật: 23 phút trước
1Bán nhà đại cồ việt, 60m2, 7 tầng thang máy, mặt tiền 4.4m, 26.5 tỷ, dòng tiền
Cập nhật: 23 phút trước
1Đến hạn trả nợ tôi chính chủ cần bán lô đất hàng xóm đô thị xanh vi
Cập nhật: 25 phút trước
2Bán khách sạn mặt phố hàng bè, 120m2, 7 tầng thang máy, tổng 16 phòng, 89.5 tỷ
Cập nhật: 25 phút trước- 0
Cần bán lô đất chính chủ cực hiếm phố lê quang đạo quận nam từ liêm 80 m2 nhỉnh
Cập nhật: 27 phút trước
1Thietkewebchuyen.com - đơn vị tư vấn thiết kế logo uy tín và chất lượng
Cập nhật: 27 phút trước
2Bán nhà mặt phố phùng hưng, 105m2, 4 tầng, mặt tiền 5.5m, 89 tỷ, vỉa hè rộng,
Cập nhật: 27 phút trước- 0
Chính chủ cần bán nhà quận cầu giấy phường quan hoa 50 m2 x6 t 9.3 tỷ ô tô kd
Cập nhật: 28 phút trước - 0
Chính chủ cần bán nhà phố phú mỹ 60 m2 x 5 tầng nhỉnh 10 tỷ có ô chờ thang máy
Cập nhật: 29 phút trước - 0
Chính chủ cần bán nhà phố khương trung quận thanh xuân 35 m2 x 3 t3,6 tỷ ô tô kd
Cập nhật: 29 phút trước
2Đẳng cấp! bán tòa văn phòng khu vực trần hưng đạo, 230m2, 8 tầng 1 hầm, mặt
Cập nhật: 29 phút trước- 0
Cần bán nhà chính chủ phố chính kinh 42 m2 x 5 t 5,2 tỷ ô tô kd
Cập nhật: 31 phút trước - 0
Cần bán mảnh đát chính chủ đường láng hòa lạc 65 m2 giá nhỉnh 1 tỷ ô tô 4 làn
Cập nhật: 32 phút trước - 0
Cực hiếm hót chính chủ cần bán lô đất xã cần kiệm cạnh khu công nghệ cao láng
Cập nhật: 32 phút trước
2Bán tòa vp mặt phố tô vĩnh diện, 5m2, 7 tầng thang máy, mặt tiền 5m, 63.8 tỷ,
Cập nhật: 33 phút trước- 0
Chính chủ cần bán nhà vị trí cực hiếm nhà phố cự lộc thanh xuân 35m2 x5 t 7,38
Cập nhật: 33 phút trước




































